조황관리HOME / 조황관리 / 상세정보

제목 : 22인승 고성진양호 어구가자미가 제대로올라옵니다. 낼출조합니다.
등록일 : 2026-01-26
오늘은 여유있게 11명의 조사님들
모시고 출조하였습니다.
 
그냥 꾸준히 올리다 중반부터
줄줄이 줄타기 합니다.
춥긴하지만 그래도 바다날씨는 양호하네요.  
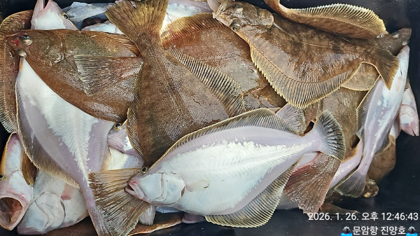
입항 한시간 전인데 쿨러사진이 왔네요.
많이 잡았단 뜻이 겠죠?ㅋㅋ
입항후 진양호밴드에 소식 올리겠습니다.^^
조사님들 화이팅 입니다.
내일도 출조합니다.
날씨만 괜찮다면 계속해서 출조하오니 조사님들 손맛보러 오세요^^
선장님폰 010-7917-9009 
문의전화 010-9380-8929 
진양호밴드  http://band.us/@boat033
홈페이지  http://jinyang.sunsang24.com/

1000017912.jpg


1000017902.jpg


1000017898.jpg


1000017899.jpg


1000017910.jpg


1000017911.jpg


1000017900.jpg

1000017904.jpg


1000017909.jpg


1000017906.jpg


1000017905.jpg


1000017907.jpg


1000017901.jpg


1000017908.jpg


1000017903.jpg

1000017922.jpg


1000017916.jpg


1000017918.jpg


1000017919.jpg


1000017920.jpg





 


Top